Поседевшим из-за стресса волосам можно вернуть прежний цвет

У поседения волос много причин, и стресс одна из них, но как именно это работает? Ученые из Колумбийского университета (США) провели эксперимент по изучению образования седых волос. Больше всего их заинтересовал феномен, когда у человека, который вернулся из отпуска хорошо отдохнувшим, несколько волосков изменили цвет с седого на естественный темный.
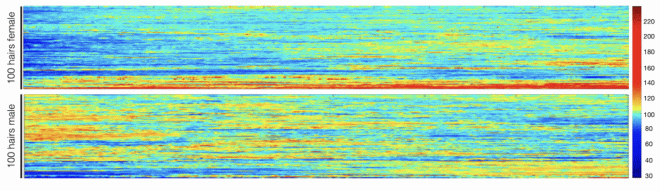
Подопытным велели вести подробные «дневники стресса», где они отмечали все неприятные моменты своей повседневной жизни с привязкой ко времени. Затем у них взяли волосы для анализа, разделив каждый образец на множество крохотных частей. Волосы служат своего рода индикатором состояния организма, и по мере роста в их структуре отражаются изменения, которые тот претерпевает. Срез толщиной 0,05 мм примерно соответствует 1 часу жизни, что позволяет выстроить довольно точную хронологию происходивших событий.

Паттерны пигментации волос из эксперимента: светлый цвет волос обозначен голубым, темный – красным
Сопоставив данные из дневников с состоянием волос, ученые получили доказательство, что стресс и изменение цвета волос на седой прямо взаимосвязаны. Обратная реакция тоже имела место – по сути, полностью седые волосы были только у глубоко больных, постоянно страдающих людей. У людей с обычным, переменным ритмом жизни волосы на самом деле «полосатые», но человеческий глаз это не различает и видит только обобщенный цвет всего волоса.
Дальнейшие изучения показали, что есть некий «порог» уровня стресса и изношенности организма, который прямо влияет на поседение волос. Он наступает в среднем возрасте, и тогда любое серьезное потрясение или переживание порождает у людей седые пряди. Для молодежи даже очень сильные расстройства не способны спровоцировать такой эффект, так как критический порог не достигнут. А у стариков, напротив, даже самый оптимальный и лишенный стресса образ жизни уже не вернет былой цвет волосам, потому что порог давно пройден.
Comments are closed.